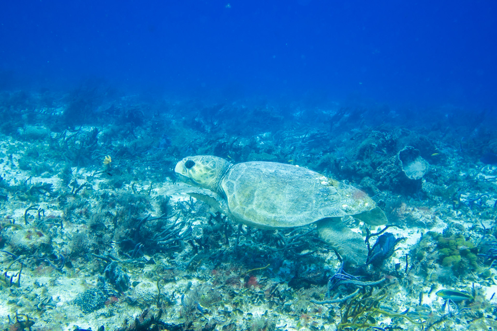
A week diving in Cozumel is always a wonderful experience. Finding countless splendid toadfish, a beautiful sea horse, and countless other classic Caribbean creatures was a treat.